实用医学杂志 ›› 2025, Vol. 41 ›› Issue (10): 1487-1495.doi: 10.3969/j.issn.1006-5725.2025.10.009

• 基础研究 • 上一篇    

基于Wnt/β-catenin信号通路调控神经元损伤探讨脊髓伤方对脊髓型颈椎病的效应机制

杨汉立1,刘春志1,史明1,胡明告2,卜献忠3,钟远鸣4,许伟4()   

  1. 1.广西中医药大学研究生院 (广西 南宁 530001 )
    2.广东中能建电力医院康复科 (广东 广州 510735 )
    3.河南中医药大学第一附属医院骨一科 (河南 郑州 450046 )
    4.广西中医药大学第一附属医院脊柱外科 ;(广西 南宁 530023 )
  • 收稿日期:2025-02-13 出版日期:2025-05-25 发布日期:2025-05-21
  • 通讯作者: 许伟 E-mail:1765239283@qq.com
  • 基金资助:
    国家自然科学基金项目(82260942);广西中医药大学校级课题项目(XP023091)

Mechanism of Jisuishang Formula in cervical spondylotic myelopathy: Regulation of neuronal injury via the Wnt/β⁃catenin signaling pathway

Hanli YANG1,Chunzhi LIU1,Ming SHI1,Minggao HU2,Xianzhong BU3,Yuanming ZHONG4,Wei. XU4()   

  1. *.The Graduate School of Guangxi University of Chinese Medicine,Nanning 530001,Guangxi,China
  • Received:2025-02-13 Online:2025-05-25 Published:2025-05-21
  • Contact: Wei. XU E-mail:1765239283@qq.com

摘要:

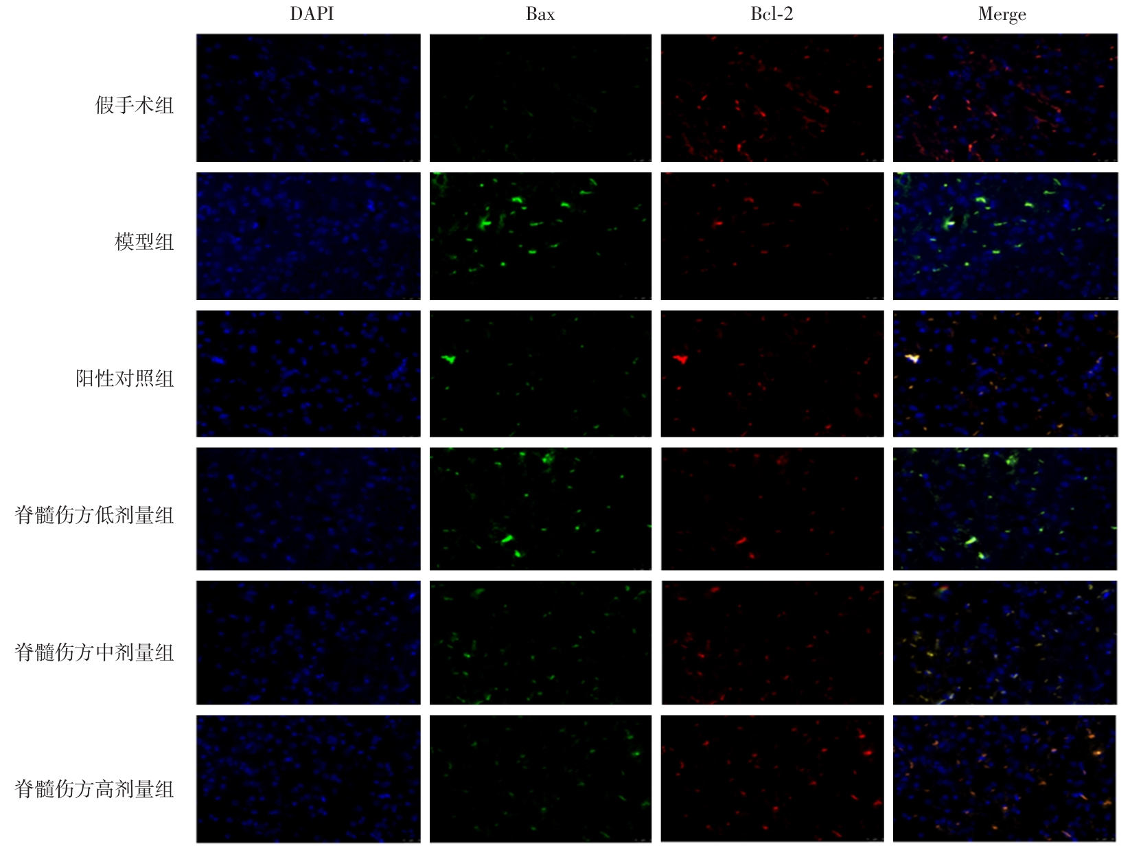
目的 基于Wnt/β-catenin信号通路探讨脊髓伤方对脊髓型颈椎病的作用机制。 方法 将36只成年雄性SD大鼠随机分为假手术组、模型组、阳性对照组(TAK-715,50 mg/kg)、脊髓伤方低(9.7 g/kg)、中(19.4 g/kg)、高(38.8 g/kg)剂量组,每组6只,连续干预4周。观察术后1、2、4周BBB评分和斜板实验;HE和Nissl染色观察脊髓组织病理及神经元情况;免疫荧光检测BDNF、β-catenin、Bax、Bcl-2蛋白表达;Western blot及qRT-PCR检测Wnt/β-catenin信号通路相关蛋白及mRNA表达。 结果 与假手术组相比,模型组术后BBB评分和斜板试验评分显著降低(P < 0.05),BDNF、β-catenin、Bcl-2表达下降(P < 0.05),Bax表达升高(P < 0.05);β-Catenin、LRP-6、p-GSK-3β表达下降(P < 0.05),Caspase-3、Caspase-9表达升高(P < 0.05)。与模型组相比,脊髓伤方高剂量组术后BBB评分和斜板试验评分显著升高(P < 0.05),BDNF、β-catenin、Bcl-2表达上升(P < 0.05),Bax表达下降(P < 0.05);β-Catenin、LRP-6、p-GSK-3β表达上升(P < 0.05),Caspase-3、Caspase-9表达下降(P < 0.05)。 结论 脊髓伤方可能通过激活Wnt/β-catenin信号通路,抑制神经元凋亡,改善脊髓微环境,促进神经功能恢复。

关键词: Wnt/β-catenin信号通路, 脊髓伤方, 颈椎病, 神经功能恢复

Abstract:

Objective To investigate the mechanism of Jisuishang Formula on cervical myelopathy based on Wnt/β-catenin signaling pathway. Methods Thirty-six adult male SD rats were randomly divided into sham operation group, model group, positive control group (TAK-715, 50 mg/kg), Jisuishang Formula low (9.7 g/kg), medium (19.4 g/kg) and high (38.8 g/kg) dose groups, with 6 rats in each group for 4 weeks. The BBB score and inclined plate test were observed at 1, 2 and 4 weeks after surgery. HE and Nissl staining were used to observe the histopathology and neuronal condition of the spinal cord. Immunofluorescence was used to detect the protein expressions of BDNF, β-catenin, Bax and Bcl-2. Western blot and qRT-PCR were used to detect the expression of Wnt/β-catenin signaling pathway-related proteins and mRNAs. Results Compared with the sham group, the BBB score and inclined plate test score were significantly decreased (P < 0.05), the expressions of BDNF, β-catenin and Bcl-2 decreased (P < 0.05), the expression of Bax increased (P < 0.05), the expressions of β-catenin, LRP-6 and p-GSK-3βdecreased (P < 0.05), and the expressions of Caspase-3 and Caspase-9 increased (P < 0.05). Compared with the model group, the BBB score and inclined plate test score were significantly increased in the high-dose Jisuishang Formula group (P < 0.05), the expressions of BDNF, β-catenin and Bcl-2 increased (P < 0.05), the expression of Bax decreased (P < 0.05), the expressions of β-catenin, LRP-6 and p-GSK-3βincreased (P < 0.05), and the expressions of Caspase-3 and Caspase-9 decreased (P < 0.05). Conclusion Jisuishang Formula prescription can inhibit neuronal apoptosis, improve spinal cord microenvironment, and promote neurological function recovery by activating the Wnt/β-catenin signaling pathway.

Key words: Wnt/β-catenin signaling pathway, Jisuishang Formula, cervical spondylosis, neurological recovery

中图分类号: